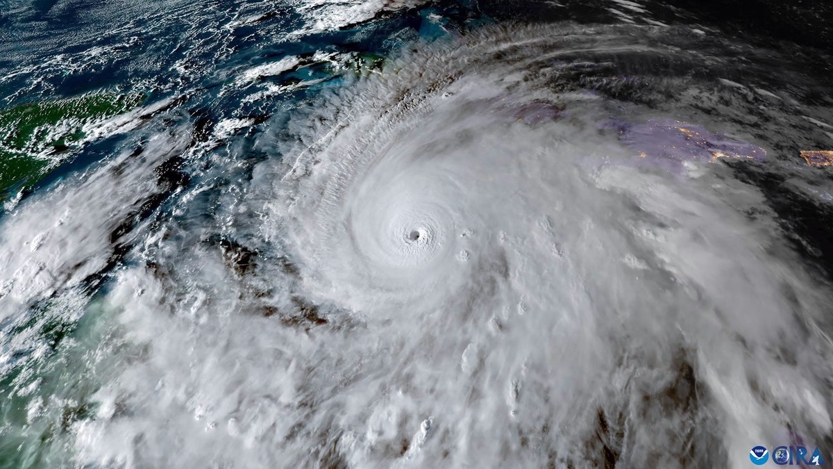
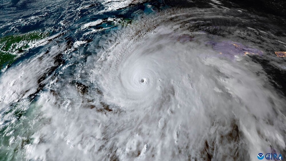
Команда охотников за ураганами сняла на видео «глаз» урагана «Мелисса» — одного из сильнейших ураганов в Атлантике за всё время наблюдений.
Мелисса, достигшая статуса урагана категории 5, обрушилась на Ямайку как самый мощный шторм в зафиксированной истории страны. В 13:00 по восточному времени стихия накрыла остров с ветром скоростью 295 км/ч и проливными дождями, когда глаз урагана прошёл над юго-западным побережьем. Об этом сообщил Национальный центр ураганов США (NHC).
В понедельник 53-я эскадрилья метеорологической разведки (команда охотников за ураганами ВВС США) вылетела в этот исторический шторм для сбора данных. Пилоты сняли поразительные фото и видео стены глаза Мелиссы – возвышающегося кольца грозовых облаков, которое вращается вокруг центра урагана. Однако сильная турбулентность вынудила их развернуться.
По заявлению NHC, опубликованному утром понедельника, охотники за ураганами "покинули шторм досрочно после экстремальной турбулентности в юго-западной части стены глаза". Вторая попытка пролететь внутрь шторма во вторник утром также была прервана. По состоянию на 11:00 по восточному времени эскадрилья возвращалась на базу на Кюрасао.
Впрочем, команда успела собрать критически важные данные о силе и формировании Мелиссы. NHC выпустил прогноз в 11:00, с отчётами с борта самолёта, указывающими на усиление шторма с момента последнего обновления. Давление внутри глаза шириной 24 километра упало почти до 892 миллибар (нормальное составляет 1013,25), а максимальная устойчивая скорость ветра достигла 215 км/ч. Синоптики NHC ожидают, что ветры Мелиссы вызовут "полное разрушение конструкций" вблизи пути её центра.
Ожидаются катастрофические внезапные наводнения, оползни и разрушительные ветры по всему острову, вызывающие масштабные повреждения инфраструктуры, отключения электричества и связи, изолирование населённых пунктов. Вдоль южного побережья ожидается опасный для жизни штормовой нагон и разрушительные волны в течение дня.
Мелисса стала четвёртым штормом атлантического сезона ураганов 2025 года, прошедшим через быструю интенсификацию – когда максимальная устойчивая скорость ветра увеличивается на 56 км/ч за 24 часа. Изменение климата повышает вероятность этого опасного явления по мере потепления температуры поверхности океана, обеспечивая больше тепла для формирования и усиления ураганов. Мелисса столкнулась с исключительно тёплыми водами и низким сдвигом ветра в центральной части Карибского моря в субботу, что вызвало её взрывное усиление от тропического шторма до урагана категории 4 к раннему воскресенью.
Шторм достиг статуса категории 5 рано утром в понедельник и с тех пор продолжает усиливаться. Сейчас это пятый по силе ураган в истории наблюдений в Атлантическом океане. После прохождения над Ямайкой синоптики ожидают выхода урагана на сушу на Кубе и в архипелаге Лукайя – цепи островов, включающей Багамы, Теркс и Кайкос сегодня.
Мелисса должна ослабнуть над Ямайкой, так как внутреннее ядро будет нарушено горным рельефом. Однако циклон должен сохранить статус крупного урагана, пока центр не достигнет восточной Кубы.
Из-за ожидаемых отключений электричества и повреждений инфраструктуры, вероятно, пройдёт некоторое время, прежде чем официальные лица смогут сообщить о полном масштабе разрушений и возможных человеческих жертвах после выхода урагана на сушу на Ямайке. NHC призывает жителей немедленно укрыться.
После выхода из Карибского моря ураган должен двигаться вдоль восточного побережья США, оставаясь далеко в море. Синоптики не ожидают выхода урагана на сушу в Соединённых Штатах.
Источник:
- Часть США сдует сверхмощный ураган «Милтон», гигантская буря готовится обрушиться на Флориду
- Почему ни один ураган не может пересечь экватор?
- Американский журналист, излишне театрально «сражающийся» с ураганным ветром, рассмешил Сеть
- Волонтер спас собак, которые чуть не погибли от наводнения после урагана «Флоренс»
- «Им каким-то образом удалось изменить гравитационное поле земли»: кандидат в вице-президенты США обвинил россиян в возникновении урагана «Милтон»


Время полёта: 8 минут
Переведём минуты в часы: 8 минут=8/60=0,1333 часа
S=V t=500 0,1333=66,67 км
И того, за 8 минут самолёт пролетит примерно 66,7 километра. Бывают ураганы с таким диаметром воронки ?!?!?!
"... Из тысячи двухсот человек, населявших остров накануне, уцелело всего триста. Миссионер-мормон и жандарм переписали их. Лагуна была забита трупами. На всем острове не осталось ни одного дома, ни одной хижины не осталось камня на камне. Почти все кокосовые пальмы вырвало с корнем, а те, что еще стояли, были сломаны, и орехи с них сбиты все до одного. ..."